Loại nhà đất
Nhà mặt phố
Địa điểm
Quận 3
Mức giá
Dưới 10 tỉ
Diện tích
200 - 250 m2
Loại nhà đất
Nhà mặt phố
Địa điểm
Quận 3
Mức giá
Dưới 10 tỉ
Diện tích
200 - 250 m2

CHÍNH CHỦ BÁN ĐẤT TẠI ĐƯỜNG TRẦN VĂN ĐANG, PHƯỜNG 11, QUẬN 3, TP HCM, GIÁ LÀ 22,5 TỶ

Cần bán Nhà mặt phố
21 lượt xem 1 năm trước

Địa chỉ: Đường Trần Văn Đang, Phường 11, Quận 3, Hồ Chí Minh

CC Bán đất (11×21) Trần Văn Đang, Q3 thích hợp xây CHDV giá bán 22,5 tỷ


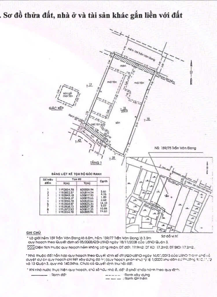
Đất chính chủ cần bán gấp 2 mặt tiền hẻm địa chỉ 159/75 Trần Văn Đang, phường 11, quận 3 (cách đường Hoàng Sa khoảng 100m).


– Tổng diện tích đất thực tế sử dụng: 229 m² (11x 21).


– Tổng diện tích công nhận: 212 m².


– Hiện đã tách làm 3 sổ hồng riêng (giấy tờ rõ ràng sẵn sàng mua bán công chứng nhanh).


– Trên đất có xây dựng mô hình quán cafe gỗ thông với chi phí đầu tư 1,5 tỷ. Hiện đang cho khai thác tạm ẩm thực chay.


– Phù hợp đầu tư kinh doanh mô hình căn hộ dịch vụ (mật độ xây dựng 95%, xây dựng 1T Lửng + 3 Lầu & ST).


– Giá bán chính chủ: 22,5 tỷ (thương lượng).


Địa chỉ: Hẻm 159/75 Trần Văn Đang, Phường 11, Quận 3, Tp Hồ Chí Minh


Giá:22,5 tỷ


Liên hệ: 0905 355 525 (Mr Chương)

Xem thêm

Thông tin khác: CHÍNH CHỦ BÁN ĐẤT TẠI ĐƯỜNG TRẦN VĂN ĐANG, PHƯỜNG 11, QUẬN 3, TP HCM, GIÁ LÀ 22,5 TỶ

Mặt tiền 11m

Đường trước nhà 10m

Diện tích 229m2

Loại hình BĐS Nhà mặt phố

Pháp lý Sổ đỏ/Sổ hồng

Tin đăng

Mã tin đăng 7064709

Loại tin đăng Tin thường

Nguyen Le Chi

Đăng nhập cuối: 28-10-2024

Chưa xác thực SĐT Chưa xác thực email
Xem thêm 59 tin đăng