Loại nhà đất
Nhà mặt phố
Địa điểm
Quận 3
Mức giá
20 - 30 tỷ
Diện tích
50 - 70 m2
Loại nhà đất
Nhà mặt phố
Địa điểm
Quận 3
Mức giá
20 - 30 tỷ
Diện tích
50 - 70 m2

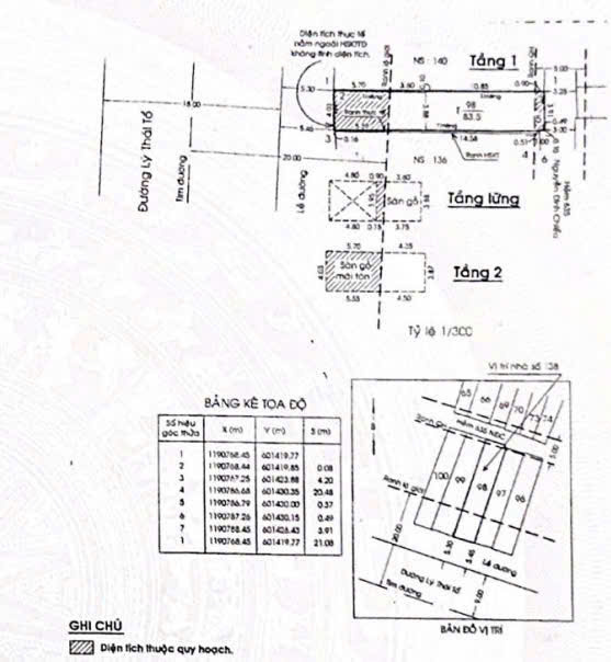
Bán Nhà Mặt Tiền 138 Lý Thái Tổ, P2, Q3

Cần bán Nhà mặt phố
26 lượt xem 6 tháng trước

Địa chỉ: Đường Lý Thái Tổ, Phường 12, Quận 3, Hồ Chí Minh


Bán Nhà Mặt Tiền 138 Lý Thái Tổ, P2, Q3
Diện tích: 4x20m, Diện Tích Công Nhận: 57,6m2
Kết cấu: Trệt, 2 tầng
Pháp lý: Sổ hồng chính chủ, hoàn công đầy đủ.
Giá: 26,5 Tỷ
Liên hệ: 0981699932 Gia Bảo

Xem thêm

Thông tin khác: Bán Nhà Mặt Tiền 138 Lý Thái Tổ, P2, Q3

Mặt tiền 4m

Đường trước nhà 20m

Diện tích 58m2

Số tầng 2

Phòng ngủ 4

Phòng tắm 3

Loại hình BĐS Nhà mặt phố

Pháp lý Sổ đỏ/Sổ hồng

Tin đăng

Mã tin đăng 7776653

Loại tin đăng Tin thường

Chuyên Q10 Tú

Đăng nhập cuối: 10-10-2025

Chưa xác thực SĐT Chưa xác thực email
Xem thêm 46 tin đăng