Loại nhà đất
Đất thổ cư - đất ở
Địa điểm
Quận 12
Mức giá
Dưới 10 tỉ
Diện tích
100 - 150 m2
Loại nhà đất
Đất thổ cư - đất ở
Địa điểm
Quận 12
Mức giá
Dưới 10 tỉ
Diện tích
100 - 150 m2

HÀNG MỚI SHR – 5 LÔ ĐẤT F0 MẶT TIỀN TÂN CHÁNH HIỆP 25, P.TRUNG MỸ TÂY, Q12

Cần bán Đất thổ cư - đất ở
182 lượt xem 1 ngày trước

Địa chỉ: Đường Tân Chánh Hiệp 25, Phường Tân Chánh Hiệp, Quận 12, Hồ Chí Minh



































HÀNG MỚI RA SỔ – 5 LÔ ĐẤT F0 MẶT TIỀN TÂN CHÁNH HIỆP 25, P.TRUNG MỸ TÂY, Q12
Vị trí siêu hot – Mặt tiền đường nhựa 10m, khu dân cư hiện hữu, cạnh Đại học Giao Thông Vận Tải & Đại học Công Đoàn, di chuyển thuận tiện ra Tô Ký – Gò Vấp – Tân Bình.
Pháp lý chuẩn: Sổ hồng riêng từng lô, xây dựng tự do – hoàn công ngay, hỗ trợ vay ngân hàng.
Hướng Đông, phong thủy đẹp, khu vực đang phát triển mạnh, tiềm năng sinh lời cực cao
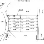
Chi tiết từng lô:
Lô 1: 4.97 x 23.58 = 117.2m² 👉 Giá: 8.75 tỷ
Lô 2: 4.20 x 23.67 = 99.4m² 👉 Giá: 7.7 tỷ
Lô 3: 4.20 x 23.74 = 99.7m² 👉 Giá: 7.7 tỷ
Lô 4: 4.20 x 23.83 = 100.1m² 👉 Giá: 7.75 tỷ
Lô 5: 4.20 x 23.90 = 100.4m² 👉 Giá: 7.55 tỷ
GIÁ TRÊN TL GẶP NGAY CHỦ ‼️
Đất F0 giá tốt – vị trí hiếm – pháp lý sạch – sinh lời chắc chắn!
Liên hệ ngay Ms Mỹ – 0909.805.456 để chọn lô đẹp nhất và thương lượng trực tiếp chính chủ!

Xem thêm

Thông tin khác: HÀNG MỚI SHR - 5 LÔ ĐẤT F0 MẶT TIỀN TÂN CHÁNH HIỆP 25, P.TRUNG MỸ TÂY, Q12

Mặt tiền 5m

Đường trước nhà 12m

Diện tích 118m2

Loại hình BĐS Đất thổ cư - đất ở

Pháp lý Sổ đỏ/Sổ hồng

Mục đích sử dụng

Mặt bằng

Tin đăng

Mã tin đăng 7876378

Loại tin đăng Tin thường

Hoàng Quân

Đang hoạt động

Chưa xác thực SĐT Chưa xác thực email
Xem thêm 1007 tin đăng