Loại nhà đất
Đất thổ cư - đất ở
Địa điểm
Quận 12
Mức giá
Trên 100 tỷ
Diện tích
Trên 1000m2
Loại nhà đất
Đất thổ cư - đất ở
Địa điểm
Quận 12
Mức giá
Trên 100 tỷ
Diện tích
Trên 1000m2

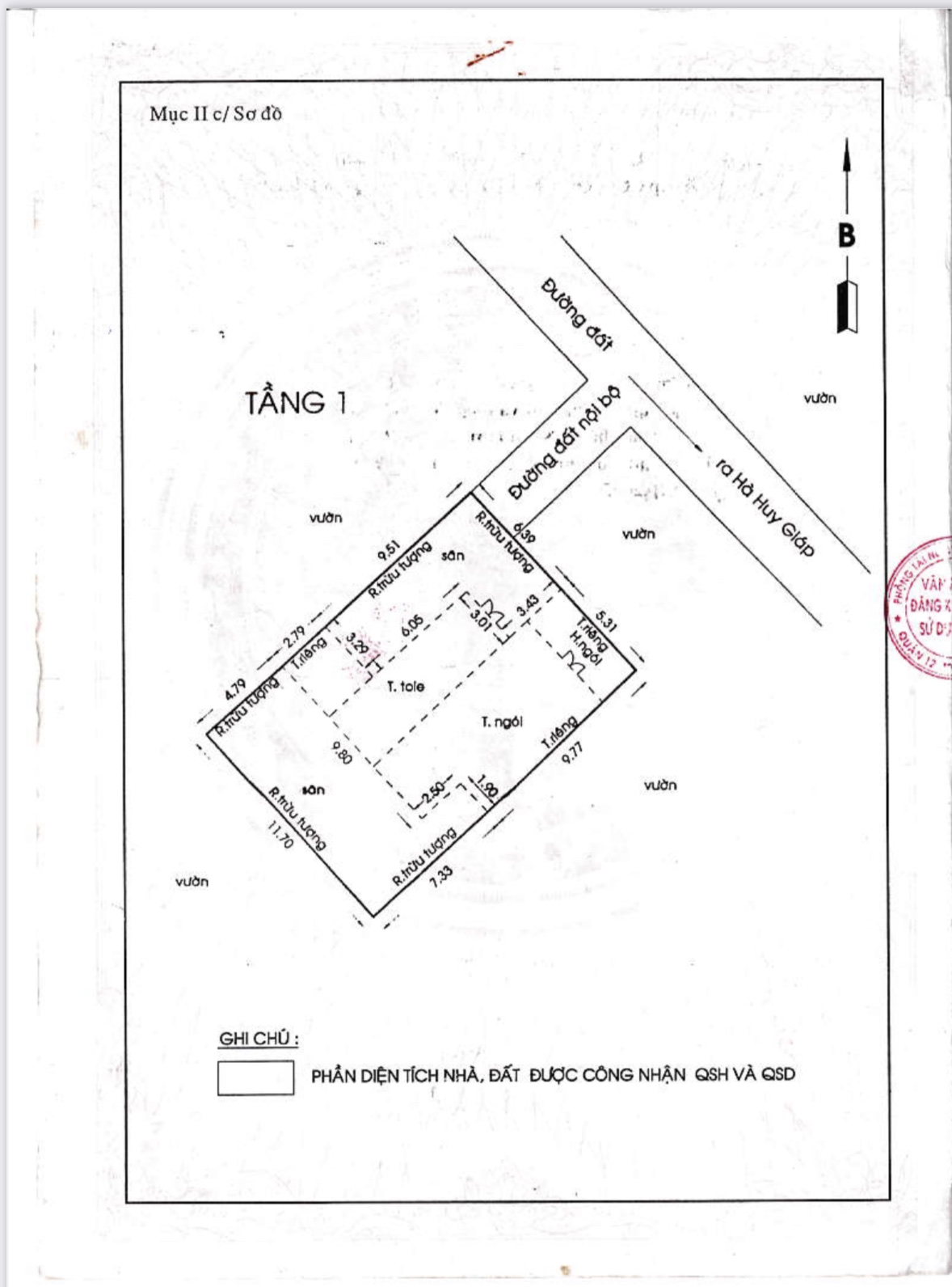
Bán đất DT: 3352.9m2, có: 3.299m2 thổ cư. Mặt Tiền nội bộ Hà Huy Giáp và Chiến Khu, P. TL, Q. 12, TP. HCM

Cần bán Đất thổ cư - đất ở
43 lượt xem 3 năm trước

Địa chỉ: Đường Hà Huy Gíap, Phường Thạnh Lộc, Quận 12, Hồ Chí Minh

Bán lô đất diện tích 3.352,9 m² trong đó có: 3.298,8 m² đất thổ cư, 54.1 m² đất trồng cây lâu năm. Khu vực dân cư sầm uất. Mặt tiền nội bộ đường Hà Huy Giáp và Chiến Khu, Phường Thạnh Lộc, Quận 12, Tp. HCM. Quy hoạch xây 15 tầng. Tiện xây Chung cư thương mại, Toà nhà căn hộ dịch vụ.

Bidv, Agribank định giá 300 tỷ.

 

Giá bán: 310 tỷ (thương lượng nhẹ).

Xem thêm

Thông tin khác: Bán đất DT: 3352.9m2, có: 3.299m2 thổ cư. Mặt Tiền nội bộ Hà Huy Giáp và Chiến Khu, P. TL, Q. 12, TP. HCM

Diện tích 3353m2

Loại hình BĐS Đất thổ cư - đất ở

Pháp lý Sổ đỏ/Sổ hồng

Mục đích sử dụng

Căn hộ cho thuê, Khách sạn, Nhà hàng

Tin đăng

Mã tin đăng 1586487

Loại tin đăng Tin thường

Khôi Nguyên Nguyên

Đăng nhập cuối: 19-06-2023

Chưa xác thực SĐT Chưa xác thực email
Xem thêm 20 tin đăng