Loại nhà đất
Nhà mặt phố
Địa điểm
Đống Đa
Mức giá
20 - 30 tỷ
Diện tích
70 - 100 m2
Loại nhà đất
Nhà mặt phố
Địa điểm
Đống Đa
Mức giá
20 - 30 tỷ
Diện tích
70 - 100 m2

MẶT PHỐ – LÔ GÓC – MẶT TIỀN ĐẸP tại Khâm Thiên, Đốg Đa

Cần bán Nhà mặt phố
667 lượt xem 3 năm trước

Địa chỉ: Đường Cẩm Văn, Phường Khâm Thiên, Đống Đa, Hà Nội

+ Hướng Bắc ghé Đông, sổ phân lô cực đẹp. + Nhà cũ xác định bán đất, tiện đập đi xây tòa 7 tầng có hầm cho rực rỡ.

+ Nhà đoạn đầu phố gần ngã 5 Ô Chợ Dừa, quy hoạch ổn định. Nhà lô góc 1 mặt phố 1 mặt ngõ ô tô cực VIP, hiếm có khó tìm.

+ Mặt tiền quá lung linh cho một căn mặt phố như thế này.

Xem thêm

Thông tin khác: MẶT PHỐ - LÔ GÓC - MẶT TIỀN ĐẸP tại Khâm Thiên, Đốg Đa

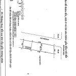
Mặt tiền 5m

Đường trước nhà 1m

Diện tích 80m2

Số tầng 2

Loại hình BĐS Nhà mặt phố

Pháp lý Sổ đỏ/Sổ hồng

Tin đăng

Mã tin đăng 1529628

Loại tin đăng Tin thường

Đỗ Bá thu

Đăng nhập cuối: 30-07-2023

Chưa xác thực SĐT Chưa xác thực email
Xem thêm 274 tin đăng