Loại nhà đất
Nhà mặt phố
Địa điểm
Đống Đa
Mức giá
Trên 100 tỷ
Diện tích
50 - 70 m2
Loại nhà đất
Nhà mặt phố
Địa điểm
Đống Đa
Mức giá
Trên 100 tỷ
Diện tích
50 - 70 m2

8.3 tỷ nhà 5 tầng ô tô vào nhà phố Thái Hà Diện tích 52 m2 mặt tiền 5 m.

Cần bán Nhà mặt phố
46 lượt xem 2 năm trước

Địa chỉ: 3, Đường Thái Hà, Phường Trung Liệt, Đống Đa, Hà Nội

8.3 tỷ nhà 5 tầng ô tô vào nhà phố Thái Hà Diện tích 52 m2 mặt tiền 5 m.

Nhà 5 tầng xây KCBT thiết kế hợp lý.

Lô góc 2 mặt thoáng, ô tô đỗ cửa, để lại toàn bộ nội thất.

Nhà vị trí trung tâm quận Đống Đa, ngõ thông, ô tô đỗ cửa.

Nhà lô góc lên phòng nào cũng có cửa sổ thoáng.

Thiết kế:

Tầng 1: thông sàn, vệ sinh, bếp, phòng khách.

Tầng2,3,4: mỗi tầng 2 phòng ngủ, vệ sinh.

Tầng 5: phòng thờ, sân phơi.

Sổ đỏ đẹp sẵn sàng giao dịch.

Liên hệ xem nhà 0355883878

Xem thêm

Thông tin khác: 8.3 tỷ nhà 5 tầng ô tô vào nhà phố Thái Hà Diện tích 52 m2 mặt tiền 5 m.

Mặt tiền 5m

Đường trước nhà 3m

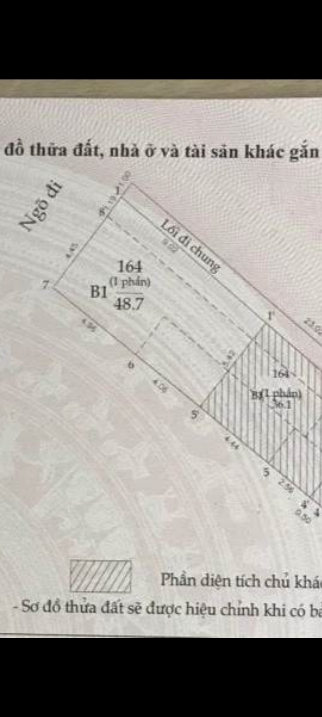
Diện tích 52m2

Độ rộng vỉa hè 1m

Số tầng 5

Phòng ngủ 6

Phòng tắm 4

Loại hình BĐS Nhà mặt phố

Pháp lý Sổ đỏ/Sổ hồng

Mục đích sử dụng

Căn hộ cho thuê, Mặt bằng, Nhà ở

Tin đăng

Mã tin đăng 5906119

Loại tin đăng Tin thường

Mai Đức Quý

Đăng nhập cuối: 23-12-2025

Đã xác thực SĐT Đã xác thực email
Xem thêm 73 tin đăng

Nhà đất gần các địa điểm sau:

  • UBND phường Trung Liệt
  • Trung tâm thương mại Parkson Hà Nội
  • Công Viên Thủy Lợi